г Санкт-Петербург, Московское шоссе, д 42 к 2
Пн-пт с 10:00 до 21:00, Сб-вс с 11:00 до 18:00

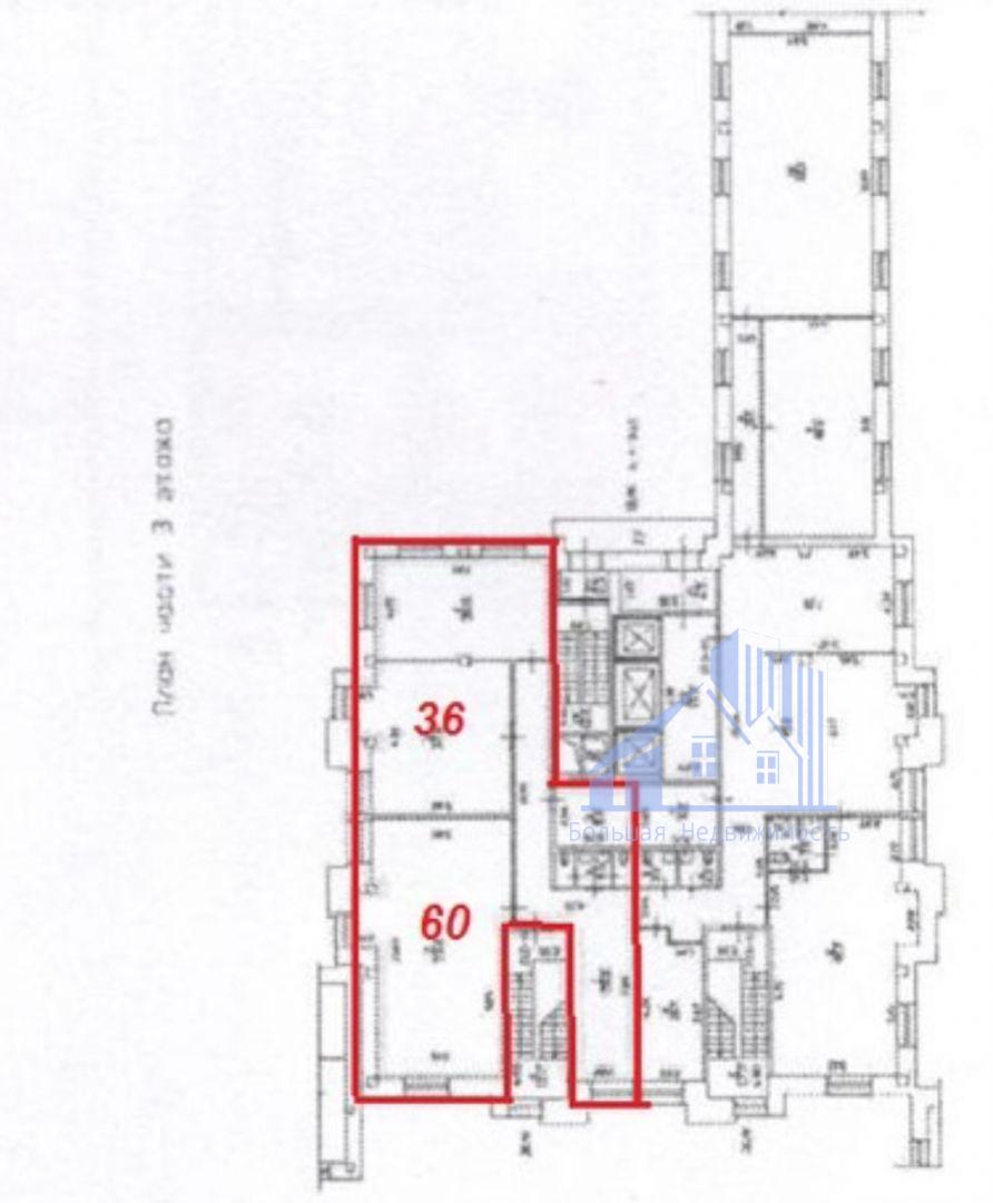
офис в ЖК "Империал" 60 кв. м ID: J127

Санкт-Петербург, Московский, улица Киевская, д.3 Фрунзенская Московско-Петроградская 13658 мин.
Площадь 60 м²
Этаж 3 из 17
QR
Ссылка на объект

Описание

Предлагается в аренду недорогое офисное помещение в Московском районе Санкт-Петербурга.


Помещение находится на 4м этаже нового элитного жилого комплекса "Империал", рядом с метро Фрунзенская и Московским проспектом.


Район имеет развитую инфраструктуру и отличную транспортную доступность.


В непосредственной близости расположены многочисленные точки общепита, социальные объекты, офисы банков.


ХАРАКТЕРИСТИКИ:



  • Площадь офиса: 60 кв. м.

  • Этаж : 4

  • Ремонт: современный дизайнерский.

  • Общая площадь помещения: (коридор и 4 офиса) 180 м. кв.

  • Имеются все коммуникации: водоснабжение, электричество, интернет.

  • На все офисы: Душевая комната, небольшая кухня, санузел.

  • Лифт: отсутствует.

  • Стоянка автомобилей во дворе. Офис сдаётся без мебели (только несколько столов).

  • Очень чисто и уютно


Звоните в любой день с 10 до 21 часа, организую просмотр, предоставлю всю необходимую информацию.

Подробнее

Характеристики

Задать вопрос


Вас также может заинтересовать:
10
Помещение свободного назначения 98 м²
Санкт-Петербург, улица Дегтярная, д.5-7
Центральный
Площадь Восстания
65 000 / месяц
  • Вид объекта:Помещение свободного назначения
  • Этажность дома:3
6
Участок пром назначения 20сот
Санкт-Петербург, переулок 3-й Верхний, д.5
Выборгский
67 200 / месяц
  • Вид объекта:Коммерческая земля
  • Статус Земли:Промышленное назначение
8
Складское помещение 59 м²
Санкт-Петербург, набережная Обводного канала, д.223-225, к.И

Нарвская
61 950 / месяц
  • Вид объекта:Складское помещение
  • Этаж:6
  • Этажность дома:6

Мы используем файлы cookie, чтобы обеспечить вам наилучший доступ к нашему веб-сайту

Скопировано